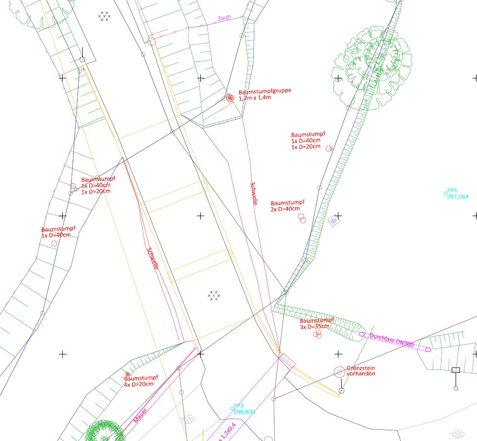
Planungsbegleitende Vermessung einer Brücke über die Schondra für die weiteren Planungsaufgaben. Neben dem Brückenbauwerk wurde auch die Umgebung vermessen und erfasst. Dies dient zum eine als Grundlage für weitere Planungen des Brückenneubaus, zum anderen zur Visualisierung der Lage und Gegebenheiten für die Bauphase. Zum Einsatz kamen neben einem Tachymeter für die terrestrische Vermessung auch der 3D-Laserscanner für dir Erfassung unzugänglicher Stellen.






